Scissortail Point Tract 9, 4800 NW Cache Road
- $2,118,758
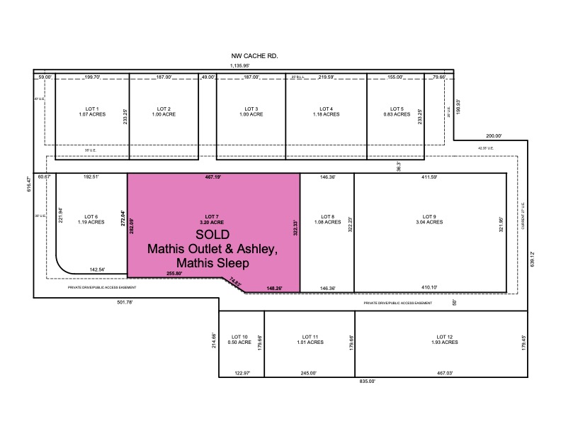
Description
Tract 9 is on a 3.04 acre lot. Scissortail Point is located on Northwest Cache Road.
Cache Road has the highest traffic counts in the city.
The new traffic signal allows entrance from both eastbound and westbound travel.
The remaining lots are for sale and will accommodate many business types.Suggested uses include hotel, grocery store, medical facility, restaurants, and a variety of retail. Call Max at the Sasseen Realty Group for more information today! (580) 248-8817
Address
Details
Updated on April 11, 2026 at 11:05 pm-
Price $2,118,758
-
Land Area 3.04 acres
-
Property Type Commercial For Sale
-
Property Status For Sale
Mortgage Calculator
Monthly
-
Down Payment
-
Loan Amount
-
Monthly Mortgage Payment
-
Property Tax
-
Home Insurance
-
PMI
-
Monthly HOA Fees
Contact Information
View ListingsSimilar Listings
- Julie Sasseen

